Do Real Estate on the Go!
- Overview
- Description
- Property Details
- Location

Do Real Estate on the Go!
Download App





Street View
$39,000
-- Bed
- -- Bath
0.81acre lot
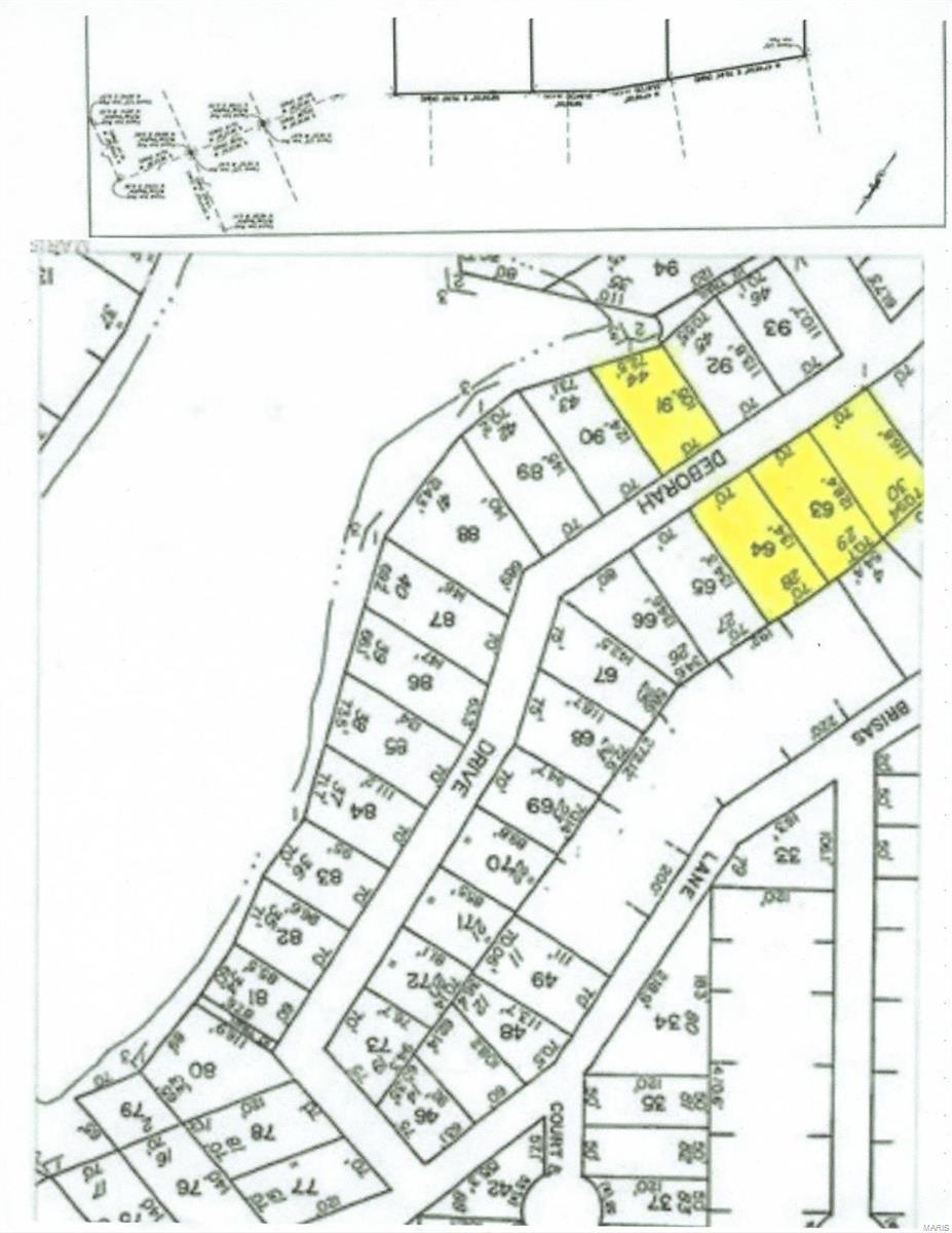
2046 Deborah Dr, Pacific, MO 63069
$39,000
Land
Built in -
$13/mo HOA
0.81 acre lot
$48,148/acre
Description
1 waterfront lot and 3 water view lots across the street. Here is you opportunity to buy and build or buy, build, and sell excess lot/s. The lots are available in Las Brisas Lake subdivision. This is an opportunity to have a lakefront lot and build acroos the street with a lake view and access as a resident's only use, private lake. Subdivision includes a picnic area with picnic tables and grills. Previous owner has provided an engineering sketch to install a septic system on the 3 contiguous lots. Subdivision indentures have minimum 1500 square foot construction requirement. Additional Rooms: In Platted Subdv.
Property Details
Status
Closed
Type
Land
No. of Stories
-
County
City
Neighborhood
--
Year Built
-
HOA Fees
$13 Monthly
Finished Area
- sqft
Lot Size
0.81 acre lot
Basement Area
- sqft
MLS Name
MARIS MLS
MLS Number
MIS22007673
MLS Status
Closed
Days on Market
-
